Noah, a new contractor client from Orlando, Florida, needed a clear and accurate site plan for an A200 Site Plan – Accessory Structure (Gazebo).
The city required precise setbacks and dimensions showing where the gazebo would be installed on an existing back patio slab.
Order:
Noah selected our Simple Package Site Plan, requesting delivery in PDF and JPG formats.
He specifically asked for the plan to be labeled “A200 – Site Plan – Accessory Structure” and to clearly show setbacks for a soft-top gazebo with a 10’ x 12’ footprint, placed on a 10’ x 20’ patio slab.
To support accuracy, Noah shared a gazebo image with dimensions, a photo of the house, and a technical drawing, giving our designers strong reference material from the start.
He selected 12-hour delivery.
OUR SOLUTION:
Using the provided files, our CAD team prepared a non-certified site plan accepted by most townships, allowing Noah to avoid unnecessary delays or added costs.
With no site visit required, we focused on speed and precision.
Although Noah chose a 12-hour turnaround, we completed the site plan faster than expected, in just 9 hours.
The final files were delivered exactly as requested and ready for permit submission.
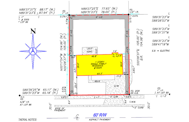
Noah’s Simple Site Plan drawing incuded all necessary information like:
REVISIONS
Noah requested two revisions, mainly to fine-tune setback labels and layout clarity.
Both updates were completed quickly and at no extra cost.
SUMMARY
This project stood out for its technical clarity and fast execution.
Noah valued how precisely the gazebo setbacks were documented, helping him submit with confidence.
Our streamlined communication and quick revisions made the process smooth from start to finish – another example of how the right site plan simplifies permit approvals.




DELIVERY TIME

FILE TIPE

PAPER SIZE

REVISON
PHONE – CHAT – EMAIL
– OR –
Recent Case Studies See all