James, a new commercial client from Jupiter, Florida, required a detailed site plan for a demolition permit.
His project involved a gas station property where all existing structures and utility disconnections had to be clearly presented for approval.
Accuracy and clarity were essential, as multiple elements on the site needed to be documented before demolition could begin.
Order:
James selected our Premium Package Site Plan with a 6-hour turnaround and requested delivery in PDF, DWG, and JPG formats.
He provided a satellite image with marked additions, helping our designers quickly understand which structures and utility areas needed to be highlighted.
An additional option included topographical lines, ensuring the terrain and elevation changes were properly displayed.
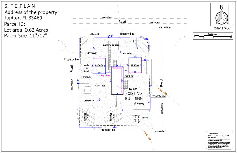
OUR SOLUTION:
Our CAD design team carefully prepared a comprehensive demolition site plan that mapped all existing buildings, parking areas, landscape elements, and utility points across the gas station property.
The plan was completed ahead of schedule, in just 4 hours, allowing James to submit his documentation without delays.
James’s Premium Site Plan drawing incuded all necessary information like:
REVISIONS
James requested two minor revisions, which were completed quickly and at no additional cost, ensuring every structural marking matched the city’s demolition requirements.
SUMMARY
This project stands out for its speed and precision on a complex commercial property.
James received a complete demolition layout faster than expected, with every structure and utility clearly documented.
The combination of detailed drafting, rapid turnaround, and smooth communication made the approval process straightforward and efficient.


DELIVERY TIME

FILE TIPE

PAPER SIZE

REVISON
PHONE – CHAT – EMAIL
– OR –
Recent Case Studies See all