Louise, a new residential client from Ball Ground, Georgia, needed a clear and detailed site plan for a proposed new property layout related to a septic permit.
She was planning updates that included a new accessory structure and wanted everything properly positioned and easy to review by local authorities.
Order:
Louise selected our Medium Package Site Plan with a 24-hour turnaround time and requested the final draft in PDF format with standard sizing.
She provided a model document with location references, which gave our designers a helpful starting point.
No additional written instructions were required, but the project included showing both existing and planned elements on the property.
OUR SOLUTION:
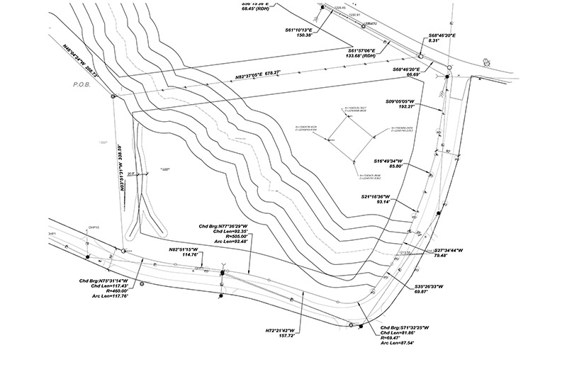
Our CAD designers created a precise and well-organized layout that presented both the existing structures and the proposed new configuration clearly.
Even though Louise selected a 24-hour delivery window, we finalized her site plan ahead of schedule – in just 17 hours.
Our plans are non-certified and accepted by most townships, and no site visit was required, which helped Louise save both time and additional surveying costs while still receiving a permit-ready draft.
Louise’s Medium Site Plan drawing incuded all necessary information like:
REVISIONS
Louise requested three revisions, mainly small placement adjustments.
Each update was handled quickly and at no extra cost until the layout fully matched her vision.
SUMMARY
This project stands out because of the smooth collaboration and clear communication from the start.
Louise received a structured, easy-to-review plan that supported her septic permit submission without delays.
The biggest value for her was having both existing and future elements accurately displayed, giving local reviewers a complete picture of the property in one document.



DELIVERY TIME

FILE TYPE

PAPER SIZE

REVISION
PHONE – CHAT – EMAIL
– OR –
Recent Case Studies See all