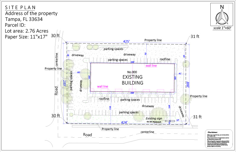
Kimberly, a repeat commercial client from Tampa, Florida, needed a detailed site plan for a new exterior sign permit.
She was replacing an existing sign with a new one and needed to submit an updated plan showing the exact placement and surrounding features for permitting purposes.
Order:
For this project, Kimberly selected our Premium Package Site Plan, requesting the file in PDF format.
In addition to standard features, she requested corner elevation details to ensure the new sign aligned with city permitting standards.
The delivery option she chose was standard 24 hours.
OUR SOLUTION:
Our experienced CAD design team carefully drafted the plan to match Kimberly’s project requirements and local city standards.
Since a site visit was not required, we were able to prepare and deliver the site plan quickly and efficiently – in just 18 hours, ahead of the requested timeframe.
Kimberly’s Premium Site Plan drawing incuded all necessary information like:
REVISIONS
No revisions were required for this project.
The first draft was approved and met all Kimberly’s needs.
SUMMARY
Kimberly appreciated the speed, clarity, and attention to detail in the final site plan.
By delivering the plan ahead of schedule, we helped her simplify the permitting process and keep her signage upgrade on track.
This case shows how our team supports commercial clients with fast, precise drafting for smooth permit approvals.


DELIVERY TIME

FILE TIPE

PAPER SIZE

REVISON
PHONE – CHAT – EMAIL
– OR –
Recent Case Studies See all