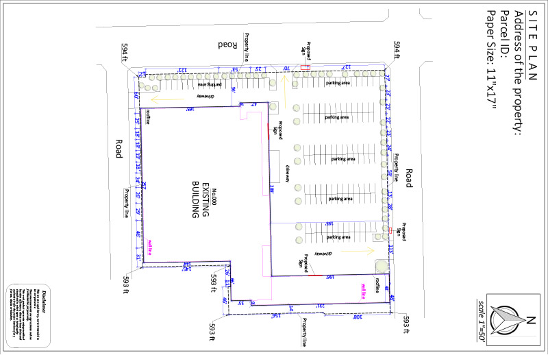
Eleanor, a new commercial client from Chicago, Illinois, needed a detailed site plan to submit for a sign permit.
The project required showing a proposed sign on her building and another sign over the driveways.
She wanted a clear and professional drawing that matched her sketch and could be easily approved by the city office.
Order:
Eleanor selected our Premium Site Plan Package, requesting the file in PDF format.
Since this was a commercial project, she wanted to ensure every detail was captured.
She sent us a picture showing exactly where the signs should be placed, giving our team the guidance we needed to start drafting.
Eleanor opted for 24-hour delivery.
OUR SOLUTION:
With the reference image and details, our designers created a custom non-certified site plan accepted by most townships, which is often all that is needed for a city sign permit.
Although Eleanor requested a 24-hour turnaround, our team finished the plan in just 18 hours. The plan was detailed, compliant, and ready for submission.
Eleanor’s Premium Site Plan drawing incuded all necessary information like:
REVISIONS
Eleanor’s plan required no revisions.
The initial draft matched her vision and the city’s requirements exactly.
SUMMARY
This case study demonstrates how even complex commercial projects, like sign permits, can be handled quickly and accurately.
Eleanor received her site plan faster than expected, designed exactly to her specifications, and fully prepared for city approval. She valued the efficiency, simplicity, and accuracy of the process.



DELIVERY TIME

FILE TIPE

PAPER SIZE

REVISON
PHONE – CHAT – EMAIL
– OR –
Recent Case Studies See all