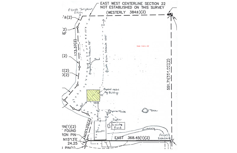
Oron, a commercial client from Four Oaks, North Carolina, needed a precise and compliant site plan for the permit process for his new 44’x40’ metal AG building.
The project required strict adherence to setbacks: 100 feet from the irrigation ditch, 25 feet from property lines, except for a 50-foot setback at the front.
The city’s requirements were known to be extremely precise, so accuracy and clarity were essential.
Order:
Oron selected the Premium Package Site Plan, requesting PDF and DWG formats.
He did not need a custom page size or additional map features.
He asked for delivery within 12 hours and shared a survey with marked-up details and a basic sketch.
He also noted that the permitting office was “sticklers,” making precision even more important.
OUR SOLUTION:
Using the survey and project notes, our CAD designers created a detailed site plan.
We finished the plan in just 7 hours, faster than the delivery time he selected.
Every detail was aligned with county expectations and steel-building regulations, ensuring a clean, professional presentation ready for submission.
Oron’s Premium Site Plan drawing incuded all necessary information like:
REVISIONS
Oron requested five revisions, mostly related to setback clarifications and minor layout adjustments.
Each revision was completed promptly and included in the package at no additional charge.
SUMMARY
This project showcases how our team transforms complex permit requirements into clear, compliant, and permit-ready site plans, even for commercial steel-building projects.
Oron received a polished plan that matched local expectations and helped streamline his permit process.
Working with our designers gave him speed, precision, and reliable communication, making his building application far easier to complete.



DELIVERY TIME

FILE TIPE

PAPER SIZE

REVISON
PHONE – CHAT – EMAIL
– OR –
Recent Case Studies See all